Medical Building with Parking

$1,550,000
- The 2025 estimated population of Watsonville is 51,320.
- The estimated population of Santa Cruz County is 262,406.
- According to the Watsonville city government, the main industries are agriculture, construction and manufacturing.
- Significant employers include Driscoll's Strawberries, Martinelli's, California Giant, Monterey Mushrooms, Graniterock, Granite Construction, West Marina, Vendwize, and Fox Racing Shox.

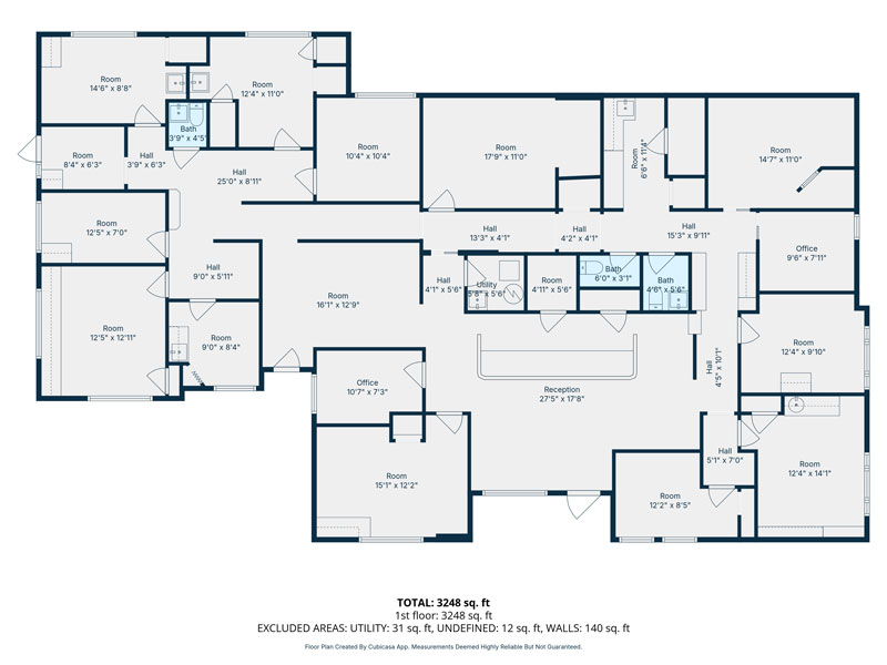
Floorplan

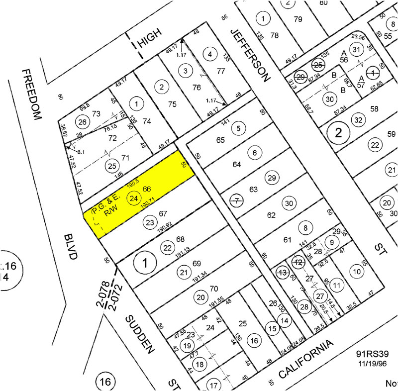
Parcel Map

Area Map
